Unibo Magazine

Tempeste sempre più violente, innalzamento delle acque e inondazioni minacciano milioni di persone in tutto il mondo e richiedono enormi investimenti finanziari per la difesa delle coste. Ma la soluzione per diminuire tali rischi è a portata di mano, ed è anche finanziariamente conveniente. Si possono proteggere le coste in maniera efficace ed economica, salvaguardando gli habitat naturali che le difendono, con le barriere coralline.

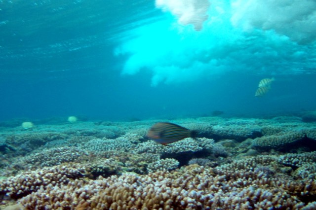
Un lavoro internazionale, guidato da un team di ricercatori dell’Università di Bologna, ha dimostrato che le barriere coralline sono un efficace ed economico strumento di difesa costiera contro tempeste e inondazioni. La ricerca, pubblicata sulla rivista Nature Communications, è stata condotta da scienziati dell’Alma Mater guidati da Laura Airoldi del Dipartimento di Scienze Biologiche, Geologiche e Ambientali, in collaborazione con ricercatori americani della The Nature Conservancy, lo US Geological Survey e l’Università di Stanford.

Che le barriere coralline proteggano le coste dal moto ondoso è un dato acquisito da tempo, ma l’importanza del nuovo studio, appena pubblicato, risiede nel fatto che, per la prima volta, questa capacità di mitigazione e assorbimento è stata quantificata su scala globale e confrontata con quella di frangiflutti artificiali costruiti dall’uomo. I risultati mostrano che le barriere coralline sono in grado di garantire una effettiva difesa della costa, assorbendo fino a 97% dell’energia distruttiva delle onde. La cresta della barriera è in grado da sola di dissipare già l’86% dell’energia del moto ondoso. Un’analisi costi-benefici evidenzia, inoltre, come conservare e ripristinare le barriere coralline sia più conveniente e vantaggioso rispetto alla creazione di barriere frangiflutti artificiali: il costo medio è dieci volte inferiore e le barriere coralline offrono molti altri benefici legati ad esempio al turismo ed alla pesca.

Lo sviluppo costiero sta degradando molti degli habitat marini che offrono un argine naturale di difesa delle coste, con un aumento dei danni causati da tempeste e inondazioni. “Il nostro lavoro - afferma Laura Airoldi - evidenzia come il ripristino e la conservazione delle barriere coralline sia un importante, efficace e conveniente soluzione per ridurre i rischi sulle coste causate dal cambiamento climatico. Finora gli sforzi per la conservazione di queste meraviglie della natura erano più indirizzati alla tutela della loro straordinaria funzione di culle della biodiversità marina e per la loro incontaminata bellezza, ma ora, come dimostrano i nostri risultati, c’è un motivo e una convenienza in più per difenderle: la protezione delle popolazioni costiere”.

Nel 2005 l’uragano Wilma sollevò onde alte oltre 13 metri al largo delle coste del Messico; quando però queste onde raggiunsero la barriera corallina mesoamericana, davanti ai Caraibi, questa difesa naturale fu in grado di assorbire ben il 99 per cento della loro forza distruttiva, mitigando gli effetti dell’uragano che altrimenti sarebbe stato ancor più devastante. Non si è trattato certo di un caso isolato: le meta-analisi condotte in questo studio rivelano che le barriere coralline forniscono una efficace protezione naturale contro la forza del mare e dei venti. “Se non proteggeremo e ripristineremo le barriere coralline - aggiunge Filippo Ferrario - 200 milioni di persone si troveranno in serio pericolo, visto che questi ecosistemi hanno il ruolo fondamentale di proteggere i litorali dalle onde in arrivo, dalle tempeste e dall’innalzamento del livello delle acque”.

“Le barriere coralline non sono gli unici ecosistemi che proteggono le coste. Studi fatti nell’ambito del progetto Theseus - un progetto finanziato dall’Unione Europea e coordinato dall’Università di Bologna - dimostrano come la vegetazione costiera e dunale e i letti di ostriche siano solo alcuni degli habitat che forniscono una simile protezione anche in ambienti temperati come il Mediterraneo”, conclude Laura Airoldi. “I governi dovrebbero considerare anche i benefici del ripristino di questi habitat quando vengono analizzati i diversi interventi di difesa. Gli habitat non possono difendere interamente le coste, ma possono essere parte del mix di strumenti a disposizione abbassando molto i costi, come viene sempre più frequentemente fatto negli Stati Uniti.”